大鼠隔-海马投射纤维损伤对内侧隔核NOS阳性神经元的影响
作者:杨丹迪 洪乐鹏 罗秀梅 曾凡表 许孟杰 颜穗凯 龙大宏
单位:广州医学院人体解剖教研室,广州 510182
关键词:NOS阳性神经元;内侧隔核;穹窿海马伞;NADPH-d组织化学法;大鼠
广州医学院学报990303
提要 目的:观察离断成年大鼠一侧隔-海马投射纤维后内侧隔核(MS)一氧化氮合成酶(NOS)阳性神经元的变化情况。方法:成年SD大鼠,切断一侧穹窿海马伞(FF),术后分别存活1、2、3、4周,进行NADPH-d组织化学方法染色。结果:损伤后1周,MS的NOS阳性神经元减少了21.28%,P<0.05;损伤2周减少了36.05%,P<0.01;损伤3~4周减少了37.01~39.29%,P<0.01。结论:受损侧MS的NOS阳性神经元发生了一定程度的溃变。
, 百拇医药
中图分类号 R651.102
The Influence of Transecting Fimbria-fornix
Projection Fibers on the Nitric Oxide
Synthase-Positive Neurons in Medial
Septum in Rats
Yang Dandi,Hong Lepeng,Luo Xiumei,et al
(Department of Anatomy,Guangzhou Medical College,Guangzhou 510182)
, 百拇医药 Objective:To explore the changes of nitric oxide synthase(NOS)-positive neurons in medial septum (MS) after transecting adult rat fimbria-fornix projection fibers.Methods:The left sides of hippocampi fimbria-fornix in adult rats were transected,1,2,3,and 4 weeks after the operation,NADPH-d histochemistry staining method was used to detect NOS-positive neurons. Results:One week after the transection,the number of NOS-positive neurons in MS decreased by 28.21% (P<0.05);Two weeks after the transection they decreased by 36.05% (P<0.01);At 3~4 weeks they decreased by 37.01~39.29%(P<0.01).Conclusion:The NOS-positive neurons in MS area of the lesioned side presented degeneration to a certain degree.
, 百拇医药
Key words Nitric oxide synthase-positive neuron;Medial septum;fimbria-Fornix;NADPH-d histochemistry method;Rat
老年痴呆的一个重要病理特征是基底前脑胆碱能神经元的溃变。隔-海马投射纤维即穹窿海马伞(FF)损伤亦会导致这种溃变[1,2]。现已知基底前脑胆碱能神经元中42%含有一氧化氮合成酶(NOS)[3,4];而另有报道NOS阳性神经元对兴奋毒性具有抵抗能力[5~7]。这提示在离断FF,基底前脑胆碱能神经元溃变时,亦考虑NOS阳性细胞是否波及,以往文献只是记录了基底前脑胆碱能神经元整体溃变情况,由于NOS的广泛研究近年才开始,FF损伤时NOS阳性神经元和非NOS神经元的溃变情况是否相同未见报道。本实验针对于此,用NADPH-d组织化学方法,详细记录了FF损伤后大鼠基底前脑内侧隔核(MS)NOS阳性神经元变化情况,为进一步揭示老年痴呆的发病机理提供形态学资料。
, 百拇医药
1 材料与方法
25只SD雄性大鼠,体重200~300g。其中20只以1%戊巴比妥钠麻醉后,固定于脑立体定位仪上,环形钻开颅骨,用自制双刃刀片在前囟后2mm,中线左侧1mm处从脑表面垂直插入5mm,再向左3.5mm切断左侧穹窿海马伞。术后分别存活1、2、3、4周。每时间组5只动物,另外5只未损伤鼠脑作为对照。经心脏插管灌注100ml生理盐水,随后用含4%多聚甲醛的0.1mol/L PB(pH7.4)溶液灌注固定。取脑放入上述固定液中后固定4h(4℃),再放入30%蔗糖(0.1mol/L)PB(pH7.4,4℃)过夜。冰冻切片,片厚40μm,PBS接片。切片头端始于胼胝体交叉的起始水平,尾端到前连合交叉前缘,每隔3片取2片,作NADPH-d组化染色[孵育液含1mg/ml B-NADPH(Sigma),0.25mg/ml硝基四唑氮蓝(NBT)(上海东风厂)和0.3%Triton X-100的PB溶液(0.1mol/L,pH8.0,4℃)]。切片在37℃下孵育60min后,常规脱水,透明,树胶封片。
, 百拇医药
每只动物取隔-斜角带复合体的5个代表切面,在40x5显微镜下,计数MS内NOS阳性细胞数。借助IBAS图象处理系统对NOS阳性细胞的面积及灰度值进行定量检测。采用ANONA统计软件系统,进行统计学分析。
2 结果
正常大鼠MS的NADPH-d阳性神经元分布见(图2),阳性神经元胞体大,染色为深蓝,形态清淅。左右两侧细胞数量基本相等。MS两侧细胞连接形成倒“V”字形排列。细胞靠近中线者多呈椭圆形,突起少。
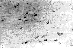
从表1、表2可以看出,FF损伤后1周,损伤侧MS的NADPH-d阳性神经元大量减少,减少到正常组的71.79%,细胞面积缩小到86.34%,染色加深,细胞灰度值增加到111.86%(图3)。损伤后2周,MS内阳性神经元数量持续下降,减少到正常组的63.95%,细胞面积进一步缩小到61.78%,灰度值增加到116.78%;损伤3~4周,MS阳性神经元变化类似于第2周,数值持续在较稳定水平(图1)。
, 百拇医药
图1 FF损伤后MS的NOS阳性神经元数量
改变百分比(%)曲线图
图2 正常大鼠MS的NADPH-d阳性神经元分布情况(5×40)
图3 损伤后1周受损侧MS的NADPH-d阳性神经元分布情况(5×40)
表1 FF损伤对成年大鼠MS的NOS阳性神经元的影响(
±s) 组别
数 量
面积(μm2)
, 百拇医药
灰度(COD)
正常组
25.91±3.54
134.36±18.65
108.89±8.67
损1周
18.60±1.57*
116.00±11.91*
*121.80±7.52*
损2周
16.57±2.16**
, 百拇医药
83.01±11.32**
127.16±5.41**
损3周
16.32±2.95**
85.61±12.94**
128.32±3.98**
损4周
15.73±3.16**
80.12±16.82**
126.24±6.36**
, 百拇医药
*与正常组相比P<0.05;**与正常组相比P<0.01表2 FF损伤后MS的NOS阳性神经元数
量改变百分比(%) 组别
百分比(%)
正常组
100
损1周
71.79
损2周
63.95
损3周
62.99
, http://www.100md.com
损4周
60.71
3 讨论
一氧化氮(nitric oxide,NO)已被证实是一种新型的神经元信使物质,它参与多种经典神经递质的功能调控[5,8],如调节脑血流量,参与突触可塑性,促进递质释放等。有文献报告NO在神经的可塑性和神经元损伤和溃变中发挥一定作用[6~7]。
NO是在一氧化氮合成酶(nitric oxide synthase,NOS)的催化下,由L-精氨酸(L-Arg)分解为L-瓜氨酸(L-Cit)和NO而成。近年的组化和生化研究显示许多神经元所含的NADPH黄递酶(NADPH-d)即是一种一氧化氮合成酶[9],因此NADPH-d组织化学法为研究NOS神经元提供了可靠而简便的工具。此后,NOS阳性神经元在大鼠前脑分布的研究进展迅速[4]。Kinjo N等[10]证明大鼠MS有大量NADPH-d神经纤维投射到腹侧海马。余福林等[3]通过NADPH-d+ChAT双标记法测定大鼠MS内92%以上NOS神经元与Ach共存,而这些共存神经元约占所有胆碱能神经元的42%。
, 百拇医药
隔区-海马胆碱能通路的损伤变性可引起基底前脑碱能神经元大量溃变,这早在60年代已被证实[1,2]。Hagg T[11]等用ChAT免疫组织化学技术观察切断FF后,MS的胆碱能神经元在损伤1周比正常组减少了47%,损伤2周减少了72%,损伤3周减少了75~80%。本实验结果显示FF损伤后1周MS的NOS阳性神经元减少了28.21%(1~71.79%),损伤2周减少了36.05%,损伤3~4周减少了37.01~39.29%。考虑到基底前脑中42%胆碱能神经元含有NOS,而MS内92%以上NOS阳性神经元是胆碱能神经元,可以认为FF损伤引起的MS内胆碱能神经元溃变更多发生在非NOS亚群,而NOS阳性亚群可能具有一定程度的耐受性,其机理目前还不清楚。也提示了以后在研究此类胆碱能神经元溃变时,要注意到其中的NOS阳性神经元亚群的特殊性。
隔-海马胆碱能通路的损伤所致基底前脑胆碱能神经元溃变是老年痴呆的重要标志。本实验记录了FF操作后MS内NOS阳性胆碱能神经元在数量、面积、灰度三方面的变化情况,并且对比参考文献可知NOS阳性神经元受损害相对较少而NOS阴性胆碱能神经元据此推断相对较多,提示NO或神经元中的NOS在这种损害中具有一定的抗拮作用,为进一步探讨老年痴呆的发病机理和NO在其中的信使作用提供了基础资料。
, http://www.100md.com
参考文献
1 Gage FH.Wictorin K, Fischer W,et al.Life and death of cholinergic neurons:In the septal and diagonal band region following complete fimbria fornix transection.Neuroscience,1986;19:241~256
2 Hefti F.Nerve growth factor promotes survival of septal cholinergic neurons after fimbrial transections.J Neurosci,1986;6:2155~2162
3 余福林,单红英,董新文.大鼠部分脑区一氧化氮合成酶与经典神经递质的共存.解剖学报,1996;27:153~157
, 百拇医药
4 姚志彬,袁群芳,顾耀铭等.一氧化氮合成酶阳性神经元在大鼠前脑的分布.解剖学杂志,1995;18(4):328
5 Schuman EM,Madison DV.Nitric oxide and synaptic function.Annu.Rev Neurosic,1994;17(6):153
6 Ferriero DM,Arcavi LT,Sagar SM,et al.Selective sparing of NADPH diaphorase neuron in neonatal hypoxia ischemia.Ann Neurol,1988;24:670
7 Kowall NW, Beal MF.Cortical somatostatin,neuropeptide Y and NADPH diaphorase neurons:Normal anatomy and alterations in Alzheimer's disease.Ann Neurol,1988;23:105
, 百拇医药
8 Vincent SR.Nitric oxide:a radical neurotransmitter in the central nervous system.Prog.Neurobiol,1994;42(1):129~160
9 Hope BT,Michael GJ,Knigge KM,et al.Neuronal NADPH diaphorase is a nitric oxide synthase.Proc.Natl.Acad.Sci USA,1991;88(7):2811~2814
10 Kinjo N, Skinner RD,Powell EW A study of NADPH-diaphorase positive septohippocampal neurons in rat. Neurosci Res, 1989;7:154~159
11 Hagg T,Holmes BF,Vahlsing HL, et al.Nerve growth factor reverses axotomy-induced decreases in choline acetyltransferase,NGF receptor and size of medial septum cholinergic neurons.Brain Res, 1989;505:29~30
(收稿:1999-07-16), 百拇医药
单位:广州医学院人体解剖教研室,广州 510182
关键词:NOS阳性神经元;内侧隔核;穹窿海马伞;NADPH-d组织化学法;大鼠
广州医学院学报990303
提要 目的:观察离断成年大鼠一侧隔-海马投射纤维后内侧隔核(MS)一氧化氮合成酶(NOS)阳性神经元的变化情况。方法:成年SD大鼠,切断一侧穹窿海马伞(FF),术后分别存活1、2、3、4周,进行NADPH-d组织化学方法染色。结果:损伤后1周,MS的NOS阳性神经元减少了21.28%,P<0.05;损伤2周减少了36.05%,P<0.01;损伤3~4周减少了37.01~39.29%,P<0.01。结论:受损侧MS的NOS阳性神经元发生了一定程度的溃变。
, 百拇医药
中图分类号 R651.102
The Influence of Transecting Fimbria-fornix
Projection Fibers on the Nitric Oxide
Synthase-Positive Neurons in Medial
Septum in Rats
Yang Dandi,Hong Lepeng,Luo Xiumei,et al
(Department of Anatomy,Guangzhou Medical College,Guangzhou 510182)
, 百拇医药 Objective:To explore the changes of nitric oxide synthase(NOS)-positive neurons in medial septum (MS) after transecting adult rat fimbria-fornix projection fibers.Methods:The left sides of hippocampi fimbria-fornix in adult rats were transected,1,2,3,and 4 weeks after the operation,NADPH-d histochemistry staining method was used to detect NOS-positive neurons. Results:One week after the transection,the number of NOS-positive neurons in MS decreased by 28.21% (P<0.05);Two weeks after the transection they decreased by 36.05% (P<0.01);At 3~4 weeks they decreased by 37.01~39.29%(P<0.01).Conclusion:The NOS-positive neurons in MS area of the lesioned side presented degeneration to a certain degree.
, 百拇医药
Key words Nitric oxide synthase-positive neuron;Medial septum;fimbria-Fornix;NADPH-d histochemistry method;Rat
老年痴呆的一个重要病理特征是基底前脑胆碱能神经元的溃变。隔-海马投射纤维即穹窿海马伞(FF)损伤亦会导致这种溃变[1,2]。现已知基底前脑胆碱能神经元中42%含有一氧化氮合成酶(NOS)[3,4];而另有报道NOS阳性神经元对兴奋毒性具有抵抗能力[5~7]。这提示在离断FF,基底前脑胆碱能神经元溃变时,亦考虑NOS阳性细胞是否波及,以往文献只是记录了基底前脑胆碱能神经元整体溃变情况,由于NOS的广泛研究近年才开始,FF损伤时NOS阳性神经元和非NOS神经元的溃变情况是否相同未见报道。本实验针对于此,用NADPH-d组织化学方法,详细记录了FF损伤后大鼠基底前脑内侧隔核(MS)NOS阳性神经元变化情况,为进一步揭示老年痴呆的发病机理提供形态学资料。
, 百拇医药
1 材料与方法
25只SD雄性大鼠,体重200~300g。其中20只以1%戊巴比妥钠麻醉后,固定于脑立体定位仪上,环形钻开颅骨,用自制双刃刀片在前囟后2mm,中线左侧1mm处从脑表面垂直插入5mm,再向左3.5mm切断左侧穹窿海马伞。术后分别存活1、2、3、4周。每时间组5只动物,另外5只未损伤鼠脑作为对照。经心脏插管灌注100ml生理盐水,随后用含4%多聚甲醛的0.1mol/L PB(pH7.4)溶液灌注固定。取脑放入上述固定液中后固定4h(4℃),再放入30%蔗糖(0.1mol/L)PB(pH7.4,4℃)过夜。冰冻切片,片厚40μm,PBS接片。切片头端始于胼胝体交叉的起始水平,尾端到前连合交叉前缘,每隔3片取2片,作NADPH-d组化染色[孵育液含1mg/ml B-NADPH(Sigma),0.25mg/ml硝基四唑氮蓝(NBT)(上海东风厂)和0.3%Triton X-100的PB溶液(0.1mol/L,pH8.0,4℃)]。切片在37℃下孵育60min后,常规脱水,透明,树胶封片。
, 百拇医药
每只动物取隔-斜角带复合体的5个代表切面,在40x5显微镜下,计数MS内NOS阳性细胞数。借助IBAS图象处理系统对NOS阳性细胞的面积及灰度值进行定量检测。采用ANONA统计软件系统,进行统计学分析。
2 结果
正常大鼠MS的NADPH-d阳性神经元分布见(图2),阳性神经元胞体大,染色为深蓝,形态清淅。左右两侧细胞数量基本相等。MS两侧细胞连接形成倒“V”字形排列。细胞靠近中线者多呈椭圆形,突起少。
从表1、表2可以看出,FF损伤后1周,损伤侧MS的NADPH-d阳性神经元大量减少,减少到正常组的71.79%,细胞面积缩小到86.34%,染色加深,细胞灰度值增加到111.86%(图3)。损伤后2周,MS内阳性神经元数量持续下降,减少到正常组的63.95%,细胞面积进一步缩小到61.78%,灰度值增加到116.78%;损伤3~4周,MS阳性神经元变化类似于第2周,数值持续在较稳定水平(图1)。
, 百拇医药
图1 FF损伤后MS的NOS阳性神经元数量
改变百分比(%)曲线图
图2 正常大鼠MS的NADPH-d阳性神经元分布情况(5×40)
图3 损伤后1周受损侧MS的NADPH-d阳性神经元分布情况(5×40)
表1 FF损伤对成年大鼠MS的NOS阳性神经元的影响(
数 量
面积(μm2)
, 百拇医药
灰度(COD)
正常组
25.91±3.54
134.36±18.65
108.89±8.67
损1周
18.60±1.57*
116.00±11.91*
*121.80±7.52*
损2周
16.57±2.16**
, 百拇医药
83.01±11.32**
127.16±5.41**
损3周
16.32±2.95**
85.61±12.94**
128.32±3.98**
损4周
15.73±3.16**
80.12±16.82**
126.24±6.36**
, 百拇医药
*与正常组相比P<0.05;**与正常组相比P<0.01表2 FF损伤后MS的NOS阳性神经元数
量改变百分比(%) 组别
百分比(%)
正常组
100
损1周
71.79
损2周
63.95
损3周
62.99
, http://www.100md.com
损4周
60.71
3 讨论
一氧化氮(nitric oxide,NO)已被证实是一种新型的神经元信使物质,它参与多种经典神经递质的功能调控[5,8],如调节脑血流量,参与突触可塑性,促进递质释放等。有文献报告NO在神经的可塑性和神经元损伤和溃变中发挥一定作用[6~7]。
NO是在一氧化氮合成酶(nitric oxide synthase,NOS)的催化下,由L-精氨酸(L-Arg)分解为L-瓜氨酸(L-Cit)和NO而成。近年的组化和生化研究显示许多神经元所含的NADPH黄递酶(NADPH-d)即是一种一氧化氮合成酶[9],因此NADPH-d组织化学法为研究NOS神经元提供了可靠而简便的工具。此后,NOS阳性神经元在大鼠前脑分布的研究进展迅速[4]。Kinjo N等[10]证明大鼠MS有大量NADPH-d神经纤维投射到腹侧海马。余福林等[3]通过NADPH-d+ChAT双标记法测定大鼠MS内92%以上NOS神经元与Ach共存,而这些共存神经元约占所有胆碱能神经元的42%。
, 百拇医药
隔区-海马胆碱能通路的损伤变性可引起基底前脑碱能神经元大量溃变,这早在60年代已被证实[1,2]。Hagg T[11]等用ChAT免疫组织化学技术观察切断FF后,MS的胆碱能神经元在损伤1周比正常组减少了47%,损伤2周减少了72%,损伤3周减少了75~80%。本实验结果显示FF损伤后1周MS的NOS阳性神经元减少了28.21%(1~71.79%),损伤2周减少了36.05%,损伤3~4周减少了37.01~39.29%。考虑到基底前脑中42%胆碱能神经元含有NOS,而MS内92%以上NOS阳性神经元是胆碱能神经元,可以认为FF损伤引起的MS内胆碱能神经元溃变更多发生在非NOS亚群,而NOS阳性亚群可能具有一定程度的耐受性,其机理目前还不清楚。也提示了以后在研究此类胆碱能神经元溃变时,要注意到其中的NOS阳性神经元亚群的特殊性。
隔-海马胆碱能通路的损伤所致基底前脑胆碱能神经元溃变是老年痴呆的重要标志。本实验记录了FF操作后MS内NOS阳性胆碱能神经元在数量、面积、灰度三方面的变化情况,并且对比参考文献可知NOS阳性神经元受损害相对较少而NOS阴性胆碱能神经元据此推断相对较多,提示NO或神经元中的NOS在这种损害中具有一定的抗拮作用,为进一步探讨老年痴呆的发病机理和NO在其中的信使作用提供了基础资料。
, http://www.100md.com
参考文献
1 Gage FH.Wictorin K, Fischer W,et al.Life and death of cholinergic neurons:In the septal and diagonal band region following complete fimbria fornix transection.Neuroscience,1986;19:241~256
2 Hefti F.Nerve growth factor promotes survival of septal cholinergic neurons after fimbrial transections.J Neurosci,1986;6:2155~2162
3 余福林,单红英,董新文.大鼠部分脑区一氧化氮合成酶与经典神经递质的共存.解剖学报,1996;27:153~157
, 百拇医药
4 姚志彬,袁群芳,顾耀铭等.一氧化氮合成酶阳性神经元在大鼠前脑的分布.解剖学杂志,1995;18(4):328
5 Schuman EM,Madison DV.Nitric oxide and synaptic function.Annu.Rev Neurosic,1994;17(6):153
6 Ferriero DM,Arcavi LT,Sagar SM,et al.Selective sparing of NADPH diaphorase neuron in neonatal hypoxia ischemia.Ann Neurol,1988;24:670
7 Kowall NW, Beal MF.Cortical somatostatin,neuropeptide Y and NADPH diaphorase neurons:Normal anatomy and alterations in Alzheimer's disease.Ann Neurol,1988;23:105
, 百拇医药
8 Vincent SR.Nitric oxide:a radical neurotransmitter in the central nervous system.Prog.Neurobiol,1994;42(1):129~160
9 Hope BT,Michael GJ,Knigge KM,et al.Neuronal NADPH diaphorase is a nitric oxide synthase.Proc.Natl.Acad.Sci USA,1991;88(7):2811~2814
10 Kinjo N, Skinner RD,Powell EW A study of NADPH-diaphorase positive septohippocampal neurons in rat. Neurosci Res, 1989;7:154~159
11 Hagg T,Holmes BF,Vahlsing HL, et al.Nerve growth factor reverses axotomy-induced decreases in choline acetyltransferase,NGF receptor and size of medial septum cholinergic neurons.Brain Res, 1989;505:29~30
(收稿:1999-07-16), 百拇医药