对虾白斑综合征杆状病毒体内增殖模型的建立
作者:黄灿华 石正丽 张建红 张立人 陈棣华 J.R.Bonami
单位:黄灿华 石正丽 张建红 张立人 陈棣华 中国科学院武汉病毒研究所中荷无脊椎动物病毒学联合实验室,武汉 430071;J.R.Bonami UMR219,CNRS-IFREMER DRIM,Universite Montpellier II,CC-80,Place Eugene Bataillon,34095 Montpellier Cedex 5,France
关键词:对虾白斑综合征杆状病毒;淡水虾蟹;病毒体内增殖模型
中国病毒学990411 摘 要 应用对虾白斑综合征杆状病毒(WSSV),对淡水克氏螯虾、罗氏沼虾、日本沼虾和两种淡水蟹(中华绒螯蟹、长江华溪蟹)进行人工感染实验。结果除淡水克氏螯虾之外,其它受试的虾蟹均不能感染WSSV。克氏螯虾3个不同剂量组感染至12 d,平均死亡率为94%。从发病或死亡个体采集血淋巴,经电镜负染色可观察到完整的病毒粒子,其形态大小、靶细胞组织病理均与从中国对虾中分离的WSSV相似或相同。同时,通过原位杂交技术进一步证明该实验的可靠性。克氏螯虾重复感染效果良好,有可能成为研究WSSV的一种理想的病毒体内增殖模型。
, http://www.100md.com
Establishment of a Model for Proliferating White Spot
Syndrome Virus in vivo
Huang Canhua Shi Zhengli Zhang Jianhong Zhang Liren
Chen Dihua Jean Robert Bonami*
(Joint Laboratory of Invertebrate Virology, Wuhan Institute of Virology,The Chinese Academy of Sciences, Wuhan 430071)
* (UMR219,CNRS-IFREMER DRIM,Universite Montpellier II,CC-80,Place Eugene Bataillon,34095 Montpellier Cedex 5,France)
, 百拇医药
Abstracts With white spot syndrome virus (WSSV) isolated from disease shrimp Penaeus chinensis, some of freashwater prawn and crabs: crayfish Cambarus clarkii, Macrobrachium rosenbergii, Macrobrachium nipponensis, Eriochier sinensis, Sinopotamon yangtsekiense were selected to be artificially infected. The result shows that only Cambarus clarkii can be infected by WSSV. The average mortality of three different dose groups (Group 1,2,3) was 94% during 12 days after injection. Intact viral particles can be seen from the hemolymph of dead or diseased crayfish using TEM negative staining, the shape of virion and their morphogenesis in host cell are quite similar or identical to the WSSV isolate. Hybridization in situ technique was used to confirm the reliability of the experiment. The result can be repeated using diseased Cambarus clarkii to infect the same kind of crayfish, it suggests crayfish Cambarus clarkii can be used as a good model for the further study of WSSV.
, 百拇医药
Key words White spot syndrome virus (WSSV), Freshwater prawn and crabs, Model of proliferating WSSV in vivo
近年来导致我国及亚洲太平洋地区对虾暴发性流行病的主要病毒病原是一种对虾无包涵体杆状病毒,又称对虾白斑综合征杆状病毒(WSSV)[1],它除了侵染绝大多数种类的对虾之外,还可侵染海洋生态体系中多种蟹类、龙虾类、端足类、水蝇类等甲壳纲动物,具有较广泛的宿主范围[2]。为了解该病毒对淡水虾蟹类的侵染活性,同时为研究该病毒建立一个较合适的病毒增殖模型,我们选择了几种常见的淡水虾蟹类甲壳纲动物,以暴发性流行病中国对虾体内分离得到的WSSV为病毒病原进行人工感染试验,现将工作结果报道如下。
1 材料与方法
1.1 病毒来源及提取
, 百拇医药
病毒材料是1998年从宁波、唐海等地收集的。取病虾鳃附肢加10倍(W/V) TN(0.02 mol/L Tris-HC1,0.4 mol/L NaCl, pH7.4)缓冲液中捣碎、匀浆,上清液低速离心去粗渣,并用TN缓冲液4倍稀释。
1.2 淡水虾蟹及人工感染实验
淡水螯虾(Cambarus clarkii)、罗氏沼虾(Macrobrachium rosenbergii)、日本沼虾(Macrobrachium nipponensis)、及淡水蟹:中华绒螯蟹(Eriochier sinensin)长江华溪蟹(Sinopotamon yangtsekiense)均从市场选购生命力较强的健康个体,实验前置水族箱中充气暂养3 d。一切正常后,每种虾按11尾/箱分4组,其中一箱设为对照;实验组(共3组)分别按0.1、0.2、0.3 mL剂量在第三腹节沿甲壳下注射,对照组注射0.2 mL生理盐水。蟹类每水族箱饲养3只,在附肢肌肉处注射0.2 mL病毒悬液,对照组注射0.2 mL生理盐水。感染72 h后,采集少量血淋巴,电镜与核酸探针(Digprobe)斑点杂交(Dot-blot)进行检测。将感染WSSV发病或死亡的虾(蟹)作毒源,对相应的种类再次重复感染。充气饲养,观察发病死亡情况。
, 百拇医药
1.3 电镜样品制备
1.3.1 负染色 感染72 h后抽取各组虾或蟹血淋巴(加10%柠檬酸钠抗凝),2% PTA负染色,样品待干后,在日立H-7000FA透射电镜下观察。
1.3.2 超薄切片 取72 h后各组虾或蟹胃、鳃、肝胰腺、中肠、及血淋巴等组织,迅速切成1 mm3小块(血淋巴经4000 r/min离心),2.5%戊二醛-3%多聚甲醛预固定,1%锇酸后固定。梯度乙醇脱水,苯二甲酸二丙烯酯包埋,聚合后在LKB-2128型超薄切片机上切片,醋酸铀、枸橼酸铅双染色,电镜下观察拍照。
1.4 Dig-核酸探针的制备与斑点杂交
核酸片段L46来自中国对虾WSSV基因组[3],长度1.5 kb,核酸探针制备与斑点杂交按照Boehinger Mannheim DIG High Prime Kit步骤操作。
, 百拇医药
1.5 原位杂交程序
感染样品依Lightner[4]方法进行包埋处理,切片厚度4 μm,粘附在多聚赖氨酸处理的洁净玻片(Polylabo)上,60 ℃融蜡30 min,甲苯(Sigma)脱蜡。依次100%、95%乙醇(各3次,每次5 min);80%、50%乙醇水化(3×10 dip);ddH2O 1 min; 37 ℃ 100 μg/mL蛋白酶K处理30 min;PBS漂洗2次,4%冷甲醛固定10 min;2×SSC漂洗10 min,每张玻片滴加500 μL杂交液(50%甲酰胺,0.2% Ficoll 400,0.2% polyvinylpyrrolidone, 0.2% BSA, 5×SSC,50 mmol/L Tris-HCl,pH8.0,1 mmol/L EDTA)预杂交3 h;42 ℃在含Dig探针10 ng/mL杂交溶液的湿盒中杂交过夜。杂交结束后,玻片在室温下依次2×SSC,1×SSC漂洗各2次,每次10 min。42 ℃依次0.5×SSC、0.1×SSC漂洗2次,每次30 min。
, 百拇医药
1.6 原位杂交检测
玻片经 Buffer Ⅰ (100 mmol/L Tris-HCl,150 mmol/L NaCl pH7.5)漂洗5 min;37 ℃在Buffer Ⅱ (含1%封阻剂的Buffer Ⅰ)溶液中阻断30 min;Buffer Ⅰ漂洗两次,每次15 min。Buffer Ⅲ(100 mmol/L Tris-HCl,100 mmol/L NaCl, 50 mmol/L MgCl2, pH9.5)室温平衡5 min;BCIP-NBT显色0.5~3 h,0.1×TE终止反应,梯度乙醇脱水,最后用100% 甲苯置换2次,每次5 min。Eukitt封片、镜检,阳性信号呈明亮的兰紫色。
2 结果
2.1 感染72 h后,各组随机抽样检测,除淡水螯虾之外,其它受试的淡水虾蟹均未见病毒粒子。核酸探针斑点杂交结果如图1所示: 克氏螯虾感染组(低倍剂量组)72 h后可检测到强烈的杂交信号(1a);以发病或死亡螯虾作毒源进一步感染同种螯虾,72 h后亦可检测到明显杂交信号(1c)。而螯虾对照组(1b),罗氏沼虾、日本沼虾、中华绒螯蟹、长江华溪蟹均无杂交信号。
, http://www.100md.com
图1 斑点杂交检测WSSV感染72 h后的淡水虾蟹
1a 螯虾感染组,1×剂量;1b 螯虾对照组;1c 以发病螯虾为毒源进行螯虾第2次感染;2a-c 依次罗氏沼虾、日本沼虾、中华绒螯蟹感染组;3a 长江华溪蟹;3b 唐海典型病虾;3c 健康对虾对照。
Fig.1 Detection of freshwater prawn and crab after 72 h infection with WSSV
(1a:Crayfish Cambarus clarkii infection group 1×dose; 1b:Crayfish control; 1c: Repeat the infection of crayfish;2a-c: Corresponding: Macrobrachium rosenbergii、Macrobrachium nipponensis、Eriochier sinensis, Sinopotamon yangtsekiense; 3b: Shrimp from Tanghai typically infected with WSSV; 3c: Healthy shrimp control.
, http://www.100md.com
2.2 淡水螯虾人工感染结果如图2所示。实验组(1~3组)感染至12 d,死亡率分别为82%、100%、100%;而对照组死亡率为9%,死亡个体经电镜检测未见病毒粒子,Dot-blot及原位杂交结果呈阴性反应。
图2 淡水克氏螯虾感染WSSV后积累死亡曲线 (水温19 ℃)
1组:3×剂量;2组: 2×剂量;3组:1×剂量;4组:对照组
Fig.2 Acumulative death curve of Cambarus clarkii infected with WSSV (Water temperature 19 ℃)
Group 1: 3×dose; Group 2: 2×dose; Group 3: 1×dose; Group 4: Control
, http://www.100md.com
从图1结果可看出感染剂量大小与螯虾死亡率呈正相关。克氏螯虾感染WSSV 3 d后,其血淋巴经负染色可观察到典型的病毒粒子,完整病毒粒子大小约130×330~450 mm,并具有一细长的“尾状”结构(图3-a,b)。

图3-a,b 从感染发病螯虾体内分离的无包涵体杆状病毒粒子
Fig.3-a, b Purified WSSV isolated from diseased crayfish Cambarus clarkii
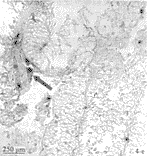
2.3 超薄切片可见病虾鳃、肝胰腺及甲壳上皮、胃等组织细胞核内充满大量装配成熟的病毒粒子(图4-a,b),病毒大小及其形态发生与张建红等[5]报道的中国对虾无包涵体杆状病毒一致。
, 百拇医药
2.4 中国对虾无包涵体杆状病毒WSSV核酸片段L46(1.5 kb),经地高辛标记作探针与感染72 h之后的螯虾组织原位杂交。结果显示,WSSV侵染螯虾的靶组织与侵染中国对虾结果非常相似。图4-c,d分别显示发病螯虾甲壳下上皮组织及鳃上皮组织被强烈标记。肝胰腺上皮,肝小管血淋巴通过之处,亦可见阳性杂交信号(图4-e,f)。





图4-a 超薄切片显示发病螯虾胃上皮细胞核内充满大量无包涵体杆状病毒(WSSV)
, 百拇医药
图4-b 超薄切片显示发病螯虾血淋巴中游离或即将进入细胞核内的病毒粒子
图4-c,d 原位杂交显示病虾鳃与甲壳下上皮组织被WSSV地高辛核酸探针强烈标记
图4-e,f 原位杂交显示病虾肝胰腺上皮组织与肝小管也被WSSV地高辛核酸探针标记
Fig.4-a Ultrathin section shows the nucleus of diseased Cambarus clarkii filled with WSSV.
Fig.4-b Ultrathin section shows dissociated virus existed in the heamolyph cell of diseased Cambarus clarkii, some virus is getting into the nucleus.
, http://www.100md.com
Fig.4-c,d Hybridization in situ shows the gill and the epithelial tissue were strongly labeled by WSSV Dig-probe respectively.
Fig.4-e,f Hepatopancreatic epithelial tissue and its tube are also labeled by WSSV Dig-probe.
3 讨论
3.1 在已发现的20余种对虾病毒中,对虾无包涵体杆状病毒(WSSV)具有宿主范围广泛、毒力强等特点,是1993年以来导致我国及亚洲、太平洋等地区对虾暴发性流行病的主要病毒病原。它除了能侵染多数种类的对虾之外,还可以侵染桡足类、端足类、龙虾类等多种海洋甲壳纲无脊椎动物。本研究首次证实WSSV还可以侵染淡水甲壳纲动物的某些种类,它对于深入了解WSSV病毒传播途径、评估该病毒给海洋和淡水甲壳纲动物生态体系构成的潜在威胁,有着十分重要的意义。
, 百拇医药
3.2 地高辛核酸探针原位杂交技术具有特异性强、灵敏度高、结果直观等优点。本实验在斑点杂交与电镜检测技术基础上,结合WSSV核酸探针原位杂交技术,显示并证实WSSV感染淡水螯虾靶组织与感染中国对虾结果非常相似。
3.3 对虾病毒深入研究面临着的一个突出的问题是缺乏合适增殖病毒的细胞系,目前大多依赖人工感染对虾活体增殖病毒。由于养殖对虾条件较苛刻,使得在实验室特别是远离海洋的一些实验室研究WSSV难度加大。克氏螯虾具有市场价格低廉,一年四季可以获得,室内人工喂养容易等优点。它将不仅为研究WSSV提供一个良好的病毒增殖体系;同时为深入研究WSSV性质及与宿主之间的关系提供一个较理想的实验模型。
参考文献
1 黄灿华,陈棣华,吴清江. 对虾病毒病害研究的新进展. 海洋湖沼通报,1998(4): 69~75
2 石正丽,黄灿华,陈棣华. 中国对虾杆状病毒基因克隆及核酸探针制备与检测. 中国病毒学,1998,13(3):263~267
, 百拇医药
3 USJSA.An evaluation of potential shrimp virus impacts on cultured shrimp and wild shrimp populations in the Gulf of Mexico and southeastern US Atlantic Coastal Waters. JSA Shrimp Virus Working Group. Washington DC USA. pp31~32
4 Lightner D V. A handbook of pathology and diagnostic procedures for disease of cultured penaeid shrimp. Section 3: virus. World Aquaculture Soc, Baton Rough, LA. 1996
5 张建红,陈棣华,肖连春等. 中国对虾非包涵体杆状病毒在体内的感染与发生. 中国病毒学,1994,9(4): 362~365, 百拇医药
单位:黄灿华 石正丽 张建红 张立人 陈棣华 中国科学院武汉病毒研究所中荷无脊椎动物病毒学联合实验室,武汉 430071;J.R.Bonami UMR219,CNRS-IFREMER DRIM,Universite Montpellier II,CC-80,Place Eugene Bataillon,34095 Montpellier Cedex 5,France
关键词:对虾白斑综合征杆状病毒;淡水虾蟹;病毒体内增殖模型
中国病毒学990411 摘 要 应用对虾白斑综合征杆状病毒(WSSV),对淡水克氏螯虾、罗氏沼虾、日本沼虾和两种淡水蟹(中华绒螯蟹、长江华溪蟹)进行人工感染实验。结果除淡水克氏螯虾之外,其它受试的虾蟹均不能感染WSSV。克氏螯虾3个不同剂量组感染至12 d,平均死亡率为94%。从发病或死亡个体采集血淋巴,经电镜负染色可观察到完整的病毒粒子,其形态大小、靶细胞组织病理均与从中国对虾中分离的WSSV相似或相同。同时,通过原位杂交技术进一步证明该实验的可靠性。克氏螯虾重复感染效果良好,有可能成为研究WSSV的一种理想的病毒体内增殖模型。
, http://www.100md.com
Establishment of a Model for Proliferating White Spot
Syndrome Virus in vivo
Huang Canhua Shi Zhengli Zhang Jianhong Zhang Liren
Chen Dihua Jean Robert Bonami*
(Joint Laboratory of Invertebrate Virology, Wuhan Institute of Virology,The Chinese Academy of Sciences, Wuhan 430071)
* (UMR219,CNRS-IFREMER DRIM,Universite Montpellier II,CC-80,Place Eugene Bataillon,34095 Montpellier Cedex 5,France)
, 百拇医药
Abstracts With white spot syndrome virus (WSSV) isolated from disease shrimp Penaeus chinensis, some of freashwater prawn and crabs: crayfish Cambarus clarkii, Macrobrachium rosenbergii, Macrobrachium nipponensis, Eriochier sinensis, Sinopotamon yangtsekiense were selected to be artificially infected. The result shows that only Cambarus clarkii can be infected by WSSV. The average mortality of three different dose groups (Group 1,2,3) was 94% during 12 days after injection. Intact viral particles can be seen from the hemolymph of dead or diseased crayfish using TEM negative staining, the shape of virion and their morphogenesis in host cell are quite similar or identical to the WSSV isolate. Hybridization in situ technique was used to confirm the reliability of the experiment. The result can be repeated using diseased Cambarus clarkii to infect the same kind of crayfish, it suggests crayfish Cambarus clarkii can be used as a good model for the further study of WSSV.
, 百拇医药
Key words White spot syndrome virus (WSSV), Freshwater prawn and crabs, Model of proliferating WSSV in vivo
近年来导致我国及亚洲太平洋地区对虾暴发性流行病的主要病毒病原是一种对虾无包涵体杆状病毒,又称对虾白斑综合征杆状病毒(WSSV)[1],它除了侵染绝大多数种类的对虾之外,还可侵染海洋生态体系中多种蟹类、龙虾类、端足类、水蝇类等甲壳纲动物,具有较广泛的宿主范围[2]。为了解该病毒对淡水虾蟹类的侵染活性,同时为研究该病毒建立一个较合适的病毒增殖模型,我们选择了几种常见的淡水虾蟹类甲壳纲动物,以暴发性流行病中国对虾体内分离得到的WSSV为病毒病原进行人工感染试验,现将工作结果报道如下。
1 材料与方法
1.1 病毒来源及提取
, 百拇医药
病毒材料是1998年从宁波、唐海等地收集的。取病虾鳃附肢加10倍(W/V) TN(0.02 mol/L Tris-HC1,0.4 mol/L NaCl, pH7.4)缓冲液中捣碎、匀浆,上清液低速离心去粗渣,并用TN缓冲液4倍稀释。
1.2 淡水虾蟹及人工感染实验
淡水螯虾(Cambarus clarkii)、罗氏沼虾(Macrobrachium rosenbergii)、日本沼虾(Macrobrachium nipponensis)、及淡水蟹:中华绒螯蟹(Eriochier sinensin)长江华溪蟹(Sinopotamon yangtsekiense)均从市场选购生命力较强的健康个体,实验前置水族箱中充气暂养3 d。一切正常后,每种虾按11尾/箱分4组,其中一箱设为对照;实验组(共3组)分别按0.1、0.2、0.3 mL剂量在第三腹节沿甲壳下注射,对照组注射0.2 mL生理盐水。蟹类每水族箱饲养3只,在附肢肌肉处注射0.2 mL病毒悬液,对照组注射0.2 mL生理盐水。感染72 h后,采集少量血淋巴,电镜与核酸探针(Digprobe)斑点杂交(Dot-blot)进行检测。将感染WSSV发病或死亡的虾(蟹)作毒源,对相应的种类再次重复感染。充气饲养,观察发病死亡情况。
, 百拇医药
1.3 电镜样品制备
1.3.1 负染色 感染72 h后抽取各组虾或蟹血淋巴(加10%柠檬酸钠抗凝),2% PTA负染色,样品待干后,在日立H-7000FA透射电镜下观察。
1.3.2 超薄切片 取72 h后各组虾或蟹胃、鳃、肝胰腺、中肠、及血淋巴等组织,迅速切成1 mm3小块(血淋巴经4000 r/min离心),2.5%戊二醛-3%多聚甲醛预固定,1%锇酸后固定。梯度乙醇脱水,苯二甲酸二丙烯酯包埋,聚合后在LKB-2128型超薄切片机上切片,醋酸铀、枸橼酸铅双染色,电镜下观察拍照。
1.4 Dig-核酸探针的制备与斑点杂交
核酸片段L46来自中国对虾WSSV基因组[3],长度1.5 kb,核酸探针制备与斑点杂交按照Boehinger Mannheim DIG High Prime Kit步骤操作。
, 百拇医药
1.5 原位杂交程序
感染样品依Lightner[4]方法进行包埋处理,切片厚度4 μm,粘附在多聚赖氨酸处理的洁净玻片(Polylabo)上,60 ℃融蜡30 min,甲苯(Sigma)脱蜡。依次100%、95%乙醇(各3次,每次5 min);80%、50%乙醇水化(3×10 dip);ddH2O 1 min; 37 ℃ 100 μg/mL蛋白酶K处理30 min;PBS漂洗2次,4%冷甲醛固定10 min;2×SSC漂洗10 min,每张玻片滴加500 μL杂交液(50%甲酰胺,0.2% Ficoll 400,0.2% polyvinylpyrrolidone, 0.2% BSA, 5×SSC,50 mmol/L Tris-HCl,pH8.0,1 mmol/L EDTA)预杂交3 h;42 ℃在含Dig探针10 ng/mL杂交溶液的湿盒中杂交过夜。杂交结束后,玻片在室温下依次2×SSC,1×SSC漂洗各2次,每次10 min。42 ℃依次0.5×SSC、0.1×SSC漂洗2次,每次30 min。
, 百拇医药
1.6 原位杂交检测
玻片经 Buffer Ⅰ (100 mmol/L Tris-HCl,150 mmol/L NaCl pH7.5)漂洗5 min;37 ℃在Buffer Ⅱ (含1%封阻剂的Buffer Ⅰ)溶液中阻断30 min;Buffer Ⅰ漂洗两次,每次15 min。Buffer Ⅲ(100 mmol/L Tris-HCl,100 mmol/L NaCl, 50 mmol/L MgCl2, pH9.5)室温平衡5 min;BCIP-NBT显色0.5~3 h,0.1×TE终止反应,梯度乙醇脱水,最后用100% 甲苯置换2次,每次5 min。Eukitt封片、镜检,阳性信号呈明亮的兰紫色。
2 结果
2.1 感染72 h后,各组随机抽样检测,除淡水螯虾之外,其它受试的淡水虾蟹均未见病毒粒子。核酸探针斑点杂交结果如图1所示: 克氏螯虾感染组(低倍剂量组)72 h后可检测到强烈的杂交信号(1a);以发病或死亡螯虾作毒源进一步感染同种螯虾,72 h后亦可检测到明显杂交信号(1c)。而螯虾对照组(1b),罗氏沼虾、日本沼虾、中华绒螯蟹、长江华溪蟹均无杂交信号。
, http://www.100md.com
图1 斑点杂交检测WSSV感染72 h后的淡水虾蟹
1a 螯虾感染组,1×剂量;1b 螯虾对照组;1c 以发病螯虾为毒源进行螯虾第2次感染;2a-c 依次罗氏沼虾、日本沼虾、中华绒螯蟹感染组;3a 长江华溪蟹;3b 唐海典型病虾;3c 健康对虾对照。
Fig.1 Detection of freshwater prawn and crab after 72 h infection with WSSV
(1a:Crayfish Cambarus clarkii infection group 1×dose; 1b:Crayfish control; 1c: Repeat the infection of crayfish;2a-c: Corresponding: Macrobrachium rosenbergii、Macrobrachium nipponensis、Eriochier sinensis, Sinopotamon yangtsekiense; 3b: Shrimp from Tanghai typically infected with WSSV; 3c: Healthy shrimp control.
, http://www.100md.com
2.2 淡水螯虾人工感染结果如图2所示。实验组(1~3组)感染至12 d,死亡率分别为82%、100%、100%;而对照组死亡率为9%,死亡个体经电镜检测未见病毒粒子,Dot-blot及原位杂交结果呈阴性反应。
图2 淡水克氏螯虾感染WSSV后积累死亡曲线 (水温19 ℃)
1组:3×剂量;2组: 2×剂量;3组:1×剂量;4组:对照组
Fig.2 Acumulative death curve of Cambarus clarkii infected with WSSV (Water temperature 19 ℃)
Group 1: 3×dose; Group 2: 2×dose; Group 3: 1×dose; Group 4: Control
, http://www.100md.com
从图1结果可看出感染剂量大小与螯虾死亡率呈正相关。克氏螯虾感染WSSV 3 d后,其血淋巴经负染色可观察到典型的病毒粒子,完整病毒粒子大小约130×330~450 mm,并具有一细长的“尾状”结构(图3-a,b)。
图3-a,b 从感染发病螯虾体内分离的无包涵体杆状病毒粒子
Fig.3-a, b Purified WSSV isolated from diseased crayfish Cambarus clarkii
2.3 超薄切片可见病虾鳃、肝胰腺及甲壳上皮、胃等组织细胞核内充满大量装配成熟的病毒粒子(图4-a,b),病毒大小及其形态发生与张建红等[5]报道的中国对虾无包涵体杆状病毒一致。
, 百拇医药
2.4 中国对虾无包涵体杆状病毒WSSV核酸片段L46(1.5 kb),经地高辛标记作探针与感染72 h之后的螯虾组织原位杂交。结果显示,WSSV侵染螯虾的靶组织与侵染中国对虾结果非常相似。图4-c,d分别显示发病螯虾甲壳下上皮组织及鳃上皮组织被强烈标记。肝胰腺上皮,肝小管血淋巴通过之处,亦可见阳性杂交信号(图4-e,f)。
图4-a 超薄切片显示发病螯虾胃上皮细胞核内充满大量无包涵体杆状病毒(WSSV)
, 百拇医药
图4-b 超薄切片显示发病螯虾血淋巴中游离或即将进入细胞核内的病毒粒子
图4-c,d 原位杂交显示病虾鳃与甲壳下上皮组织被WSSV地高辛核酸探针强烈标记
图4-e,f 原位杂交显示病虾肝胰腺上皮组织与肝小管也被WSSV地高辛核酸探针标记
Fig.4-a Ultrathin section shows the nucleus of diseased Cambarus clarkii filled with WSSV.
Fig.4-b Ultrathin section shows dissociated virus existed in the heamolyph cell of diseased Cambarus clarkii, some virus is getting into the nucleus.
, http://www.100md.com
Fig.4-c,d Hybridization in situ shows the gill and the epithelial tissue were strongly labeled by WSSV Dig-probe respectively.
Fig.4-e,f Hepatopancreatic epithelial tissue and its tube are also labeled by WSSV Dig-probe.
3 讨论
3.1 在已发现的20余种对虾病毒中,对虾无包涵体杆状病毒(WSSV)具有宿主范围广泛、毒力强等特点,是1993年以来导致我国及亚洲、太平洋等地区对虾暴发性流行病的主要病毒病原。它除了能侵染多数种类的对虾之外,还可以侵染桡足类、端足类、龙虾类等多种海洋甲壳纲无脊椎动物。本研究首次证实WSSV还可以侵染淡水甲壳纲动物的某些种类,它对于深入了解WSSV病毒传播途径、评估该病毒给海洋和淡水甲壳纲动物生态体系构成的潜在威胁,有着十分重要的意义。
, 百拇医药
3.2 地高辛核酸探针原位杂交技术具有特异性强、灵敏度高、结果直观等优点。本实验在斑点杂交与电镜检测技术基础上,结合WSSV核酸探针原位杂交技术,显示并证实WSSV感染淡水螯虾靶组织与感染中国对虾结果非常相似。
3.3 对虾病毒深入研究面临着的一个突出的问题是缺乏合适增殖病毒的细胞系,目前大多依赖人工感染对虾活体增殖病毒。由于养殖对虾条件较苛刻,使得在实验室特别是远离海洋的一些实验室研究WSSV难度加大。克氏螯虾具有市场价格低廉,一年四季可以获得,室内人工喂养容易等优点。它将不仅为研究WSSV提供一个良好的病毒增殖体系;同时为深入研究WSSV性质及与宿主之间的关系提供一个较理想的实验模型。
参考文献
1 黄灿华,陈棣华,吴清江. 对虾病毒病害研究的新进展. 海洋湖沼通报,1998(4): 69~75
2 石正丽,黄灿华,陈棣华. 中国对虾杆状病毒基因克隆及核酸探针制备与检测. 中国病毒学,1998,13(3):263~267
, 百拇医药
3 USJSA.An evaluation of potential shrimp virus impacts on cultured shrimp and wild shrimp populations in the Gulf of Mexico and southeastern US Atlantic Coastal Waters. JSA Shrimp Virus Working Group. Washington DC USA. pp31~32
4 Lightner D V. A handbook of pathology and diagnostic procedures for disease of cultured penaeid shrimp. Section 3: virus. World Aquaculture Soc, Baton Rough, LA. 1996
5 张建红,陈棣华,肖连春等. 中国对虾非包涵体杆状病毒在体内的感染与发生. 中国病毒学,1994,9(4): 362~365, 百拇医药