表达反义N-myc逆转录病毒载体对神经生长因子诱导神经母细胞瘤细胞分化的影响△
作者:陈杰 刘彤华 折小宁 蒋继红
单位:中国医学科学院 中国协和医科大学 协和医院病理科, 北京 100730
关键词:神经母细胞瘤;神经生长因子;反义基因;凋亡
中国医学科学院学报990308 摘要 目的 研究反义N-myc基因转染后人神经母细胞瘤细胞在神经生长因子处理后的诱导分化情况,探讨N-myc在神经生长因子诱导分化中的意义。方法 用基因重组技术构建表达反义N-myc的逆转录病毒载体。用Transfectam Reagent等多种基因转染方法,转染已经基因转染恢复了神经生长因子受体表达的人神经母细胞瘤系,建成表达反义N-myc的转化细胞系。用神经生长因子处理转化细胞系,观察NGF是否能诱导分化。同时用TUNEL原位凋亡检测技术及超微结构技术研究表达反义N-myc的转化细胞系凋亡的情况。结果 表达反义N-myc的转化细胞系经单链RNA探针杂交,证实其N-myc的表达明显降低。用神经生长因子处理这些转化细胞系,细胞出现明显的形态学分化。TUNEL技术及超微结构研究表明,经反义N-myc转染的细胞系细胞凋亡增多。结论 反义N-myc基因转染能有效抑制N-myc的表达,进而促进神经生长因子诱导人神经母细胞瘤细胞的分化。反义N-myc基因转染能使神经母细胞瘤细胞凋亡增多。
, 百拇医药
中图号 R730.264
Effects of Antisense N-myc Gene on Nerve Growth Factor-induced Differentiation of Neuroblastoma Cell Line
Chen Jie Liu Tonghua Zhe Xiaoning Jiang Jihong
(Department of Pathology,PUMC Hospital,CAMS and PUMC,Beijing 100730)
Objective The purpose of this study is to investigate the effects of antisense N-myc gene transfection on nerve growth factor-induced differentiation of neuroblastoma cell line.Methods Recombinant retroviral vector expressing antisense N-myc gene was constructed.Using the Transfectam Reagent,the recombinant vector was transduced into the human neuroblastoma cell line,IMR-32/NGFR,which was previously transfected by nerve growth factor receptor gene.The transformant cell line expressing antisense N-myc was established and studied by single chain RNA probe hybridization,immunocytochemistry,and nerve growth factor treatment to see whether nerve growth factor can induce differentiation in this transformant cell line and inhibition of N-myc expression.The TUNEL technique and electromicroscopy were used to detect apoptosis of the tumor cells.Results The cell line transduced by antisense N-myc expressed much less amount of N-myc both on mRNA and protein levels.After nerve growth factor treatment,remarkable morphological differentiation appeared in these cells.Apoptosis was also enhanced in these cells.Conclusions Antisense N-myc transfection could specifically inhibit the expression of N-myc and promoted the nerve growth factor-induced differentiation of neuroblastoma cell line.Transfection of antisense N-myc could also enhance the process of apoptosis of the tumor cells.
, 百拇医药
Key words neuroblastoma; nerve growth factor; antisense gene; apoptosis
神经母细胞瘤是儿童期常见的恶性肿瘤,约半数患者有N-myc基因扩增和过度表达。N-myc扩增与不良的预后密切相关[1]。笔者以往的研究表明,神经生长因子(NGF)不能诱导有N-myc扩增的神经母细胞瘤系分化[2],即使用基因重组技术恢复NGF受体的表达也不能使该细胞系出现形态学上的明显分化[3],提示N-myc癌基因可能为NGF诱导分化的重要阻滞因素。反义RNA技术能在某些实验条件下特异地抑制特定靶基因的表达[4,5]。本实验用表达反义N-myc逆转录病毒载体,将反义N-myc基因转移至已成功恢复NGF表达的神经母细胞瘤系中,观察N-myc癌基因受到抑制后NGF诱导其分化的情况,以进一步阐明N-myc癌基因在该特定恶性肿瘤中的作用。
, http://www.100md.com
1 材料和方法
细胞系 神经母细胞瘤系IMR-32/NGFR为神经母细胞瘤系IMR-32经重组NGF受体基因转染后建成的转化细胞系,其NGF受体的表达由IMR-32的阴性变成高表达。该细胞系在恢复了NGF受体的表达后,经NGF处理出现某些分化的迹象[3],但形态上尚未出现明显分化。
表达反义N-myc逆转录病毒的构建 见文献[6]。
重组载体的包装 表达反义N-myc基因的逆转录病毒载体经鉴定无误后,用磷酸钙沉淀法将其转入包装细胞系PA317中, 转化的包装细胞系经puromycin 4 μg/ml筛选后,收集抗性克隆,扩大培养并取上清,-80℃冻存备用。
表达反义N-myc重组载体在人神经母细胞瘤系IMR-32/NGFR中的表达 用Transfectam Reagent转染试剂盒(购于Promega公司)进行基因转染。
, 百拇医药
试剂的配制 0.5 mg Transfectam Reagent加95%乙醇20 μl溶解5 min后再加180 μl消毒三蒸水,4℃保存备用,用前振荡。培养的细胞用Versene液消化,离心后,每培养瓶接种5×105个细胞,24 h后进行转染。转染时先配制溶液A(3 μg重组载体中加500 μl无血清DMEM培养基,充分振荡),再配制溶液B(将6 μl Transfectam reagent加入到500 μl无血清DMEM中,充分振荡混匀)。迅速将A液和B液混合,加入到待转染细胞中,37℃孵育过夜,次日弃转染液,换DMEM完全培养基,培养24~48 h,加puromycin筛选。
神经生长因子(NGF)对转化细胞系影响的检测 2.5 S NGF购于美国Sigma公司。IMR32/NGFR和IMR32/NGFR/AS-N-myc的细胞分别经Versene液消化分瓶传代后,同时加入200 mg/ml 2.5 S NGF。每隔3天换液1次,换液时NGF浓度不变,每天在倒置显微镜下观察细胞形态。4 d后分别收集细胞做离心涂片,以备细胞凋亡原位检测或离心包埋供电镜研究。
, 百拇医药
细胞凋亡原位检测试剂盒购于Boehringer Mannheim公司,按说明书要求进行细胞凋亡的原位检测。细胞滴片逐级入水后,用0.01 mol/L PBS(pH7.4)处理,加穿透液(0.1% Triton X-100溶于0.1%柠檬酸钠溶液)4℃ 2 min后,PBS洗,滴加反应液(每片按50 μl计,取5 μl酶溶液及45 μl dNTP混合液,用前配制),37℃孵育1 h。PBS洗5 min,3次,加buffer Ⅲ (0.1 mol/L Tris-HCl,pH9.5,0.1 mol/L NaCl和50 mmol/L MgCl2)5 min,加显色液(4.5 μl NBT:3.5μl BCIP:1 ml bufferⅢ)避光显色,结果满意后水洗终止显色,伊红复染后甘油封片。
2 结果
反义基因转化细胞系的建立及其形态 经反义N-myc基因转染的细胞经约4周的puromycin(1μg/ml)筛选,抗性细胞集落开始生长,经约3个月的反复转代分瓶并提高puromycin的浓度至1.5 μg/ml,建成表达反义N-myc的转化细胞系IMR-32/NGFR/AS-N-myc。此细胞系在常规培养条件下不易形成单层,常呈小集落形式生长,且小集落中心细胞易脱落死亡。
, http://www.100md.com
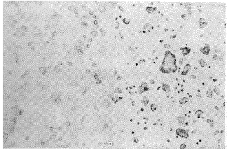
转化细胞系对NGF处理的反应 用200 ng/ml 2.5 S NGF分别处理IMR-32/NGFR和反义N-myc转化的细胞系IMR-32/NGFR/AS-N-myc,2 d后IMR-32/NGFR未见明显形态学变化,而IMR-32/NGFR/AS-N-myc则出现明显的形态学分化,NGF处理的IMR-32/NGFR/AS-N-myc细胞神经突起明显延长,到第6天更为明显(图1)。
图1 反义N-myc转化细胞系的倒置显微镜形态观察
Fig 1 The morphology transformant cell line transfected by antisense N-myc
A.without NGF; B.with NGF for 6 days
, http://www.100md.com
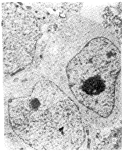
靶基因表达的变化 用RNA单链探针检测表达反义N-myc的转化细胞系IMR-32/NGFR/AS-N-myc的N-myc癌基因表达情况,结果其N-myc mRNA表达明显下降。免疫组化法检测表明,转化细胞系IMR-32/NGFR/AS-N-myc的N-myc蛋白表达水平亦明显下降(图2)。
b
Fig 2 Detection of expression of gene product of N-myc in the cells before and after antisense N-myc transfection
A.IMR-32/NGFR; B.IMR-32/NGFR/AS/N-myc
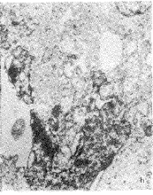
细胞凋亡 反义N-myc转化细胞系IMR-32/NGFR/AS-N-myc细胞中的凋亡细胞数明显增多(图3),电镜观察示凋亡细胞表现为细胞皱缩、胞核染色质凝集、核膜空泡及凋亡小体形成(图4)。
, http://www.100md.com
图3 反义N-myc转染前后瘤细胞中细胞凋亡的原位检测
Fig 3 Detection of apoptosis in the tumor cells before (A) and after (B) antisense N-myc transfection using TUNEL technique

图4 反义N-myc转染前后瘤细胞的超微结构
Fig 4 Ultrastructure of the tumor cells before and after transfection of antisense N-myc
A.IMR/32/NGFR; B.IMR-32/NGFR/AS/N-myc
, 百拇医药
Apoptotic tumor cells in B
裸鼠体内致瘤性 将1×107个表达反义N-myc的转化细胞系细胞接种到Balb/c裸鼠背部皮下,经7个月观察接种的裸鼠均无肿瘤形成。而对照的IMR-32细胞及空载体转染的细胞系则在接种后4周形成肿瘤。
3 讨论
同其它许多恶性肿瘤一样,神经母细胞瘤的发生,可能涉及到一系列基因改变[1]。笔者以往的研究结果表明: 很多神经母细胞瘤系中均有N-myc的基因扩增和/或过度表达,有N-myc扩增的细胞系很少有NGF受体的表达。用基因重组和基因转移技术恢复神经母细胞瘤系中的NGF受体的表达后,转化细胞系虽出现一些NGF促分化反应,但尚未出现明显的形态学分化。提示N-myc扩增作为神经母细胞瘤的一个主要分子改变特征,可能在神经母细胞瘤的发生发展中起着重要作用,同时在NGF诱导分化过程中起着某种阻滞作用。Rosolen等[5]应用针对N-myc第一和第二外显子反义核苷酸处理神经上皮瘤系CHP100,发现反义寡核苷酸抑制N-myc表达后可使细胞生长受到抑制。本研究用逆转录病毒载体介导的反义N-myc在神经母细胞瘤系中抑制N-myc的表达,结果出现了明显的NGF诱导的分化。神经母细胞瘤从生物学行为上看是一种非常特别的肿瘤,它偶可自发分化或自发消退。肿瘤的自发消退可能是瘤细胞自发分化的结果,另一种可能是细胞的程序性死亡。程序性死亡是组织和器官调节其自身发育和维持的正常机制,打破这种机制可能导致肿瘤的发生。因此,在肿瘤细胞中恢复正常的细胞程序性死亡可能是理想的肿瘤治疗策略之一。Ponozoni等[7]用维甲酸和维甲酸类似物(4-hydroxyphenyl-retinamide)处理神经母细胞瘤系,发现维甲酸可诱导瘤细胞分化,而其类似物则诱导瘤细胞发生程序性死亡。笔者用反义N-myc基因转染已经表达NGF受体的神经母细胞瘤系,也出现了较多凋亡细胞,表明抑制N-myc的表达可促进细胞的自发凋亡,其发生机制尚需进一步研究。
, http://www.100md.com
△国家教委跨世纪优秀人才基金和国家杰出青年科学基金(39625012)资助
陈杰为通讯作者
参考文献
1 Brodeur GM.Molecular pathology of human neuroblastomas.Semin Diagn Pathol,1994,11(2):118~125
2 Chen J,Chattopadhyay B,Venkatakrishnan G,et al.Nerve growth factor-induced differentiation of human neuroblastoma and neuroepithelioma cell lines.Cell Growth Differ,1990,1(2):79~85
, 百拇医药 3 陈 杰,刘彤华,Ross AH.重组神经生长因子受体在缺乏神经生长因子受体表达的人神经母细胞瘤系中的表达.基础医学与临床, 1991,11(1): 26~31
4 Yamada H,Koizumi S,Kimura M,et al.Reduction of EGF receptor levels in humor cells transfected with an antisense RNA expression vector.Exp Cell Res,1989,184: 90~98
5 Rosolen A,Whitesell L,Ikegaki N,et al.Antisense inhibition of single copy N-myc expression results in decreased cell growth without reduction of c-myc protein in a neuroepithelioma cell line.Cancer Res,1990,50:6316~6322
6 陈 杰,刘彤华,王志永,等.表达反义N-myc基因的逆转录病毒载体的构建.中国医学科学院学报,1996,18(1):235~237
7 Ponzoni M,Bocca P,Chiesa V,et al.Differential effects of N-(4-hydroxyphenyl) retinamide and retinoic acid on neuroblastoma cells: apoptosis versus differentiation.Cancer Res,1995,55:853~861
(1997-10-23收稿), 百拇医药
单位:中国医学科学院 中国协和医科大学 协和医院病理科, 北京 100730
关键词:神经母细胞瘤;神经生长因子;反义基因;凋亡
中国医学科学院学报990308 摘要 目的 研究反义N-myc基因转染后人神经母细胞瘤细胞在神经生长因子处理后的诱导分化情况,探讨N-myc在神经生长因子诱导分化中的意义。方法 用基因重组技术构建表达反义N-myc的逆转录病毒载体。用Transfectam Reagent等多种基因转染方法,转染已经基因转染恢复了神经生长因子受体表达的人神经母细胞瘤系,建成表达反义N-myc的转化细胞系。用神经生长因子处理转化细胞系,观察NGF是否能诱导分化。同时用TUNEL原位凋亡检测技术及超微结构技术研究表达反义N-myc的转化细胞系凋亡的情况。结果 表达反义N-myc的转化细胞系经单链RNA探针杂交,证实其N-myc的表达明显降低。用神经生长因子处理这些转化细胞系,细胞出现明显的形态学分化。TUNEL技术及超微结构研究表明,经反义N-myc转染的细胞系细胞凋亡增多。结论 反义N-myc基因转染能有效抑制N-myc的表达,进而促进神经生长因子诱导人神经母细胞瘤细胞的分化。反义N-myc基因转染能使神经母细胞瘤细胞凋亡增多。
, 百拇医药
中图号 R730.264
Effects of Antisense N-myc Gene on Nerve Growth Factor-induced Differentiation of Neuroblastoma Cell Line
Chen Jie Liu Tonghua Zhe Xiaoning Jiang Jihong
(Department of Pathology,PUMC Hospital,CAMS and PUMC,Beijing 100730)
Objective The purpose of this study is to investigate the effects of antisense N-myc gene transfection on nerve growth factor-induced differentiation of neuroblastoma cell line.Methods Recombinant retroviral vector expressing antisense N-myc gene was constructed.Using the Transfectam Reagent,the recombinant vector was transduced into the human neuroblastoma cell line,IMR-32/NGFR,which was previously transfected by nerve growth factor receptor gene.The transformant cell line expressing antisense N-myc was established and studied by single chain RNA probe hybridization,immunocytochemistry,and nerve growth factor treatment to see whether nerve growth factor can induce differentiation in this transformant cell line and inhibition of N-myc expression.The TUNEL technique and electromicroscopy were used to detect apoptosis of the tumor cells.Results The cell line transduced by antisense N-myc expressed much less amount of N-myc both on mRNA and protein levels.After nerve growth factor treatment,remarkable morphological differentiation appeared in these cells.Apoptosis was also enhanced in these cells.Conclusions Antisense N-myc transfection could specifically inhibit the expression of N-myc and promoted the nerve growth factor-induced differentiation of neuroblastoma cell line.Transfection of antisense N-myc could also enhance the process of apoptosis of the tumor cells.
, 百拇医药
Key words neuroblastoma; nerve growth factor; antisense gene; apoptosis
神经母细胞瘤是儿童期常见的恶性肿瘤,约半数患者有N-myc基因扩增和过度表达。N-myc扩增与不良的预后密切相关[1]。笔者以往的研究表明,神经生长因子(NGF)不能诱导有N-myc扩增的神经母细胞瘤系分化[2],即使用基因重组技术恢复NGF受体的表达也不能使该细胞系出现形态学上的明显分化[3],提示N-myc癌基因可能为NGF诱导分化的重要阻滞因素。反义RNA技术能在某些实验条件下特异地抑制特定靶基因的表达[4,5]。本实验用表达反义N-myc逆转录病毒载体,将反义N-myc基因转移至已成功恢复NGF表达的神经母细胞瘤系中,观察N-myc癌基因受到抑制后NGF诱导其分化的情况,以进一步阐明N-myc癌基因在该特定恶性肿瘤中的作用。
, http://www.100md.com
1 材料和方法
细胞系 神经母细胞瘤系IMR-32/NGFR为神经母细胞瘤系IMR-32经重组NGF受体基因转染后建成的转化细胞系,其NGF受体的表达由IMR-32的阴性变成高表达。该细胞系在恢复了NGF受体的表达后,经NGF处理出现某些分化的迹象[3],但形态上尚未出现明显分化。
表达反义N-myc逆转录病毒的构建 见文献[6]。
重组载体的包装 表达反义N-myc基因的逆转录病毒载体经鉴定无误后,用磷酸钙沉淀法将其转入包装细胞系PA317中, 转化的包装细胞系经puromycin 4 μg/ml筛选后,收集抗性克隆,扩大培养并取上清,-80℃冻存备用。
表达反义N-myc重组载体在人神经母细胞瘤系IMR-32/NGFR中的表达 用Transfectam Reagent转染试剂盒(购于Promega公司)进行基因转染。
, 百拇医药
试剂的配制 0.5 mg Transfectam Reagent加95%乙醇20 μl溶解5 min后再加180 μl消毒三蒸水,4℃保存备用,用前振荡。培养的细胞用Versene液消化,离心后,每培养瓶接种5×105个细胞,24 h后进行转染。转染时先配制溶液A(3 μg重组载体中加500 μl无血清DMEM培养基,充分振荡),再配制溶液B(将6 μl Transfectam reagent加入到500 μl无血清DMEM中,充分振荡混匀)。迅速将A液和B液混合,加入到待转染细胞中,37℃孵育过夜,次日弃转染液,换DMEM完全培养基,培养24~48 h,加puromycin筛选。
神经生长因子(NGF)对转化细胞系影响的检测 2.5 S NGF购于美国Sigma公司。IMR32/NGFR和IMR32/NGFR/AS-N-myc的细胞分别经Versene液消化分瓶传代后,同时加入200 mg/ml 2.5 S NGF。每隔3天换液1次,换液时NGF浓度不变,每天在倒置显微镜下观察细胞形态。4 d后分别收集细胞做离心涂片,以备细胞凋亡原位检测或离心包埋供电镜研究。
, 百拇医药
细胞凋亡原位检测试剂盒购于Boehringer Mannheim公司,按说明书要求进行细胞凋亡的原位检测。细胞滴片逐级入水后,用0.01 mol/L PBS(pH7.4)处理,加穿透液(0.1% Triton X-100溶于0.1%柠檬酸钠溶液)4℃ 2 min后,PBS洗,滴加反应液(每片按50 μl计,取5 μl酶溶液及45 μl dNTP混合液,用前配制),37℃孵育1 h。PBS洗5 min,3次,加buffer Ⅲ (0.1 mol/L Tris-HCl,pH9.5,0.1 mol/L NaCl和50 mmol/L MgCl2)5 min,加显色液(4.5 μl NBT:3.5μl BCIP:1 ml bufferⅢ)避光显色,结果满意后水洗终止显色,伊红复染后甘油封片。
2 结果
反义基因转化细胞系的建立及其形态 经反义N-myc基因转染的细胞经约4周的puromycin(1μg/ml)筛选,抗性细胞集落开始生长,经约3个月的反复转代分瓶并提高puromycin的浓度至1.5 μg/ml,建成表达反义N-myc的转化细胞系IMR-32/NGFR/AS-N-myc。此细胞系在常规培养条件下不易形成单层,常呈小集落形式生长,且小集落中心细胞易脱落死亡。
, http://www.100md.com
转化细胞系对NGF处理的反应 用200 ng/ml 2.5 S NGF分别处理IMR-32/NGFR和反义N-myc转化的细胞系IMR-32/NGFR/AS-N-myc,2 d后IMR-32/NGFR未见明显形态学变化,而IMR-32/NGFR/AS-N-myc则出现明显的形态学分化,NGF处理的IMR-32/NGFR/AS-N-myc细胞神经突起明显延长,到第6天更为明显(图1)。
图1 反义N-myc转化细胞系的倒置显微镜形态观察
Fig 1 The morphology transformant cell line transfected by antisense N-myc
A.without NGF; B.with NGF for 6 days
, http://www.100md.com
靶基因表达的变化 用RNA单链探针检测表达反义N-myc的转化细胞系IMR-32/NGFR/AS-N-myc的N-myc癌基因表达情况,结果其N-myc mRNA表达明显下降。免疫组化法检测表明,转化细胞系IMR-32/NGFR/AS-N-myc的N-myc蛋白表达水平亦明显下降(图2)。
b
Fig 2 Detection of expression of gene product of N-myc in the cells before and after antisense N-myc transfection
A.IMR-32/NGFR; B.IMR-32/NGFR/AS/N-myc
细胞凋亡 反义N-myc转化细胞系IMR-32/NGFR/AS-N-myc细胞中的凋亡细胞数明显增多(图3),电镜观察示凋亡细胞表现为细胞皱缩、胞核染色质凝集、核膜空泡及凋亡小体形成(图4)。
, http://www.100md.com
图3 反义N-myc转染前后瘤细胞中细胞凋亡的原位检测
Fig 3 Detection of apoptosis in the tumor cells before (A) and after (B) antisense N-myc transfection using TUNEL technique
图4 反义N-myc转染前后瘤细胞的超微结构
Fig 4 Ultrastructure of the tumor cells before and after transfection of antisense N-myc
A.IMR/32/NGFR; B.IMR-32/NGFR/AS/N-myc
, 百拇医药
Apoptotic tumor cells in B
裸鼠体内致瘤性 将1×107个表达反义N-myc的转化细胞系细胞接种到Balb/c裸鼠背部皮下,经7个月观察接种的裸鼠均无肿瘤形成。而对照的IMR-32细胞及空载体转染的细胞系则在接种后4周形成肿瘤。
3 讨论
同其它许多恶性肿瘤一样,神经母细胞瘤的发生,可能涉及到一系列基因改变[1]。笔者以往的研究结果表明: 很多神经母细胞瘤系中均有N-myc的基因扩增和/或过度表达,有N-myc扩增的细胞系很少有NGF受体的表达。用基因重组和基因转移技术恢复神经母细胞瘤系中的NGF受体的表达后,转化细胞系虽出现一些NGF促分化反应,但尚未出现明显的形态学分化。提示N-myc扩增作为神经母细胞瘤的一个主要分子改变特征,可能在神经母细胞瘤的发生发展中起着重要作用,同时在NGF诱导分化过程中起着某种阻滞作用。Rosolen等[5]应用针对N-myc第一和第二外显子反义核苷酸处理神经上皮瘤系CHP100,发现反义寡核苷酸抑制N-myc表达后可使细胞生长受到抑制。本研究用逆转录病毒载体介导的反义N-myc在神经母细胞瘤系中抑制N-myc的表达,结果出现了明显的NGF诱导的分化。神经母细胞瘤从生物学行为上看是一种非常特别的肿瘤,它偶可自发分化或自发消退。肿瘤的自发消退可能是瘤细胞自发分化的结果,另一种可能是细胞的程序性死亡。程序性死亡是组织和器官调节其自身发育和维持的正常机制,打破这种机制可能导致肿瘤的发生。因此,在肿瘤细胞中恢复正常的细胞程序性死亡可能是理想的肿瘤治疗策略之一。Ponozoni等[7]用维甲酸和维甲酸类似物(4-hydroxyphenyl-retinamide)处理神经母细胞瘤系,发现维甲酸可诱导瘤细胞分化,而其类似物则诱导瘤细胞发生程序性死亡。笔者用反义N-myc基因转染已经表达NGF受体的神经母细胞瘤系,也出现了较多凋亡细胞,表明抑制N-myc的表达可促进细胞的自发凋亡,其发生机制尚需进一步研究。
, http://www.100md.com
△国家教委跨世纪优秀人才基金和国家杰出青年科学基金(39625012)资助
陈杰为通讯作者
参考文献
1 Brodeur GM.Molecular pathology of human neuroblastomas.Semin Diagn Pathol,1994,11(2):118~125
2 Chen J,Chattopadhyay B,Venkatakrishnan G,et al.Nerve growth factor-induced differentiation of human neuroblastoma and neuroepithelioma cell lines.Cell Growth Differ,1990,1(2):79~85
, 百拇医药 3 陈 杰,刘彤华,Ross AH.重组神经生长因子受体在缺乏神经生长因子受体表达的人神经母细胞瘤系中的表达.基础医学与临床, 1991,11(1): 26~31
4 Yamada H,Koizumi S,Kimura M,et al.Reduction of EGF receptor levels in humor cells transfected with an antisense RNA expression vector.Exp Cell Res,1989,184: 90~98
5 Rosolen A,Whitesell L,Ikegaki N,et al.Antisense inhibition of single copy N-myc expression results in decreased cell growth without reduction of c-myc protein in a neuroepithelioma cell line.Cancer Res,1990,50:6316~6322
6 陈 杰,刘彤华,王志永,等.表达反义N-myc基因的逆转录病毒载体的构建.中国医学科学院学报,1996,18(1):235~237
7 Ponzoni M,Bocca P,Chiesa V,et al.Differential effects of N-(4-hydroxyphenyl) retinamide and retinoic acid on neuroblastoma cells: apoptosis versus differentiation.Cancer Res,1995,55:853~861
(1997-10-23收稿), 百拇医药